Day 32 (Sunday 1st January 2017)
Happy New Year - may the next 12 months bring you joy, health, experiences that make you think and enable you to grow and memories that you can cherish. Today we have a short, impactful and wise post sent to me by Helen Amery; written while she was in hospital, accompanying her young daughter who had injured her arm. It is full of "heart" and acknowledges Life's highs and lows - hence it seems a perfect piece with which to start 2017.
![]() |
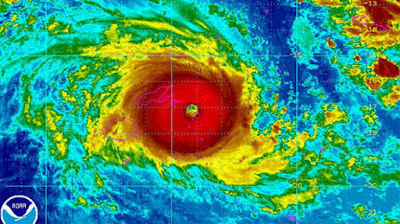
| 32% of Fiji's GDP equates to $1.4 billion - which was the cost of the damage incurred by the island as a result of Cyclone Winston that hit on 20th February 2016. Cyclone Winston is the strongest recorded tropical storm in the Southern Hemisphere (with winds of 180mph). Winston occurred just 4 months after the most powerful tropical cyclone was recorded in the Northern Hemisphere, Hurricane Patricia, with winds of 215mph. Our climate is changing. |
Happy New Year - may the next 12 months bring you joy, health, experiences that make you think and enable you to grow and memories that you can cherish. Today we have a short, impactful and wise post sent to me by Helen Amery; written while she was in hospital, accompanying her young daughter who had injured her arm. It is full of "heart" and acknowledges Life's highs and lows - hence it seems a perfect piece with which to start 2017.
Helen specialises in executive coaching and leadership development, via her own business, Wild Fig Solutions Limited. She is based in Leicester, but helps people and businesses across the UK. She writes an excellent blog - originally called People-ology but now hosted on her business Wild Fig site. After obtaining a good degree in Chemistry from Edinburgh, Helen commenced training as an accountant with PwC but then realised that she was better suited to HR. Before establishing her own consultancy, Helen worked for a number of years as a respected HR professional with Boots. She is active on social media and excellent at encouraging people to connect IRL (in real life) as well as online. Her twitter handle is @WildFigSoins.
***********************************************
The daily muddle of mini heights and hollows when things go ok and then less well, good and then bad. Short-lived but each as real as the next and every one of them influencing how we feel from moment to moment.
These are not Hollow words
The heights of laughing with my daughter to the hollow of her in surgery and the words from the surgeon of 'we lost a pulse' (thankfully not forever). Extreme swelling and breaking of my heart in the space of a day.
The heights of laughing with my daughter to the hollow of her in surgery and the words from the surgeon of 'we lost a pulse' (thankfully not forever). Extreme swelling and breaking of my heart in the space of a day.
The extreme height of excitement of a new baby for the family. The bottomless hollow when he didn't make it, complications during pregnancy. Heart swells and wrenches for months and years.*
![]() |
| Sculpture by artist Martin Hudáček from Slovakia in memorial of unborn children who have passed away. |
We're all different, and how we experience our heights and hollows is different. But we all experience them and too many hollows for too long can take their toll.
Pay attention to yours. Get the help you need when you need it. Someone is always there - someone you know. Or maybe someone you've not spoken to yet. But they're there.
If you need them, the Samaritans are always there - 116 123.
*Our friends' experience this year.






































